Foto Grundstück
Der Blick auf das Grundstück
Lageplan-timonline 1zu2.500
Flurkarte
TIM-online Sachdaten
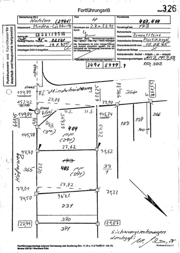
Fortführungsriß Bauamt Blatt 326
6 Fotos ansehen

*RESERVIERT* Begehrte Wohnlage von Minden

110.000 €

Kaufpreis 181,82 €/m2

605 m2

Grunstücksfläche

Adresse

Minderheide, 32425 Minden

Auf Karte anzeigen

Grundstück ca.:

605 m2

Erschließung:

TEILERSCHLOSSEN

Bebaubar nach:

34

Verfügbar ab:

Nach Vereinbarung

Kosten

Kaufpreis:

110.000 €

Preis/m2:

181,82 €

Provision:

Käuferprovision 4,76% inkl. gesetzl. MwSt.

Objektbeschreibung

Lage

Sonstiges

Karte

Minderheide, 32425 Minden

Die vollständige Adresse der Immobilie erhalten Sie vom Anbieter.

Logo RE/MAX Ihr persönlicher Makler

RE/MAX Ihr persönlicher Makler

Gewerblicher Anbieter:in

Impressum des Anbieters
Anbieter kontaktieren